Soma Bay 2026 - Oli
Wir waren vor kurzem in der Soma Bay und haben dort ein paar richtig starke Tauchtage erlebt. Getaucht sind wir hauptsächlich an den bekannten Riffen rund um die Bucht – und die haben überwiegend definitiv geliefert.
Die Sicht war durchgehend top, oft 20 Meter und mehr. Strömung je nach Spot mal entspannt, mal ordentlich – also alles dabei.
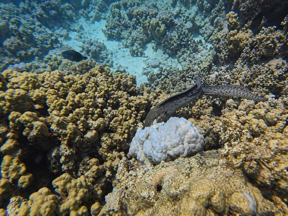
An Fisch gab’s eigentlich alles, was man sich für das Rote Meer wünscht: Muränen, Blaupunktrochen, Napoleon-Lippfische, grüne Meeresschildkröten, Stachelrochen, Adlerrochen, Riesen-Kugelfische und natürlich jede Menge bunte Rifffische. Wir hatten etwas Glück, denn auch Delfine gaben sich die Ehre.
Die Tauchbasis war gut organisiert, Briefings klar und verständlich. Boote ebenfalls top, genug Platz und stressfreier Ablauf.
Leider sind unsere beiden geplanten Ganztagesausflüge wetterbedingt ausgefallen – Wind und Strömung haben uns da einen Strich durch die Rechnung gemacht. Darunter war auch der geplante Tauchgang an der Salem Express, was natürlich besonders schade war, da es der Tauchgang war auf den ich mich persönlich am meisten gefreut habe.
Fazit: Soma Bay ist definitiv eine Reise wert. Sowohl für entspannte Urlaubstauchgänge als auch für etwas anspruchsvollere Spots.
